El exjugador de las Panteras, Rae Carruth fue detenido por planear el asesinato de su expareja para evitar pagar una pensión por su hijo Leer más
Minuto a Minuto
Internacional Revelan nuevos documentos del Caso Epstein en EE.UU., ¿qué dicen sobre Trump?
Una nueva tanda de miles de archivos inéditos sobre el Caso Epstein fue revelada en EE.UU., donde hacen mención de Trump
Internacional Demócratas demandan a Trump para eliminar la colocación de su nombre en el Centro Kennedy
La demanda contra Trump exige la eliminación de su nombre del Centro John F. Kennedy luego de que la junta directiva aprobara rebautizar el recinto
Nacional México limita a un año la exención de impuestos a la FIFA para Copa del Mundo 2026
La Secretaría de Hacienda y Crédito Público revisó el acuerdo y redujo a un año la exención de impuestos a la FIFA
Nacional SRE lamenta muerte de tripulantes tras accidente aéreo en Texas
“La SRE expresa sus más sentidas condolencias a familiares y amigos de los fallecidos en el accidente de una aeronave de la SEMAR”, señaló
Nacional Defensa refuerza la seguridad en Sinaloa con el despliegue de 150 elementos
Como parte de la Estrategia Nacional de Seguridad, 150 militares llegaron a Sinaloa para fortalecer el despliegue operativo en coordinación con autoridades locales y federales.
Últimas Noticias
La Federación Mexicana de Organismos Públicos de Derechos Humanos externó su preocupación por la vulnerabilidad de los migrantes Leer más
El entrenador portugués recordó a la prensa que había renovado su contrato con el United hasta 2020 Leer más
El príncipe heredero de la corona saudí y su padre, el rey Salman, contactaron por teléfono a la familia del periodista Kashoggi Leer más
La mujer caminaba por la Gran Muralla de Jiankou, una peligrosa sección de la antigua fortaleza de la Gran Muralla China Leer más
Se deberá retrasar una hora el reloj. El nuevo horario estará vigente hasta el domingo 7 de abril de 2019 Leer más
Fue en la parte final del entrenamiento abierto a los medios de comunicación, que se dio la agresión de Ramos sin importarle ser grabado Leer más
Al menos 27 vialidades de la ciudad de Morelia terminaron inundadas debido a las fuertes lluvias registradas en las últimas horas Leer más
El diputado Antonio Ortega preguntará a las partes involucradas si es verdad que la Procuraduría de Hidalgo solicitó el desafuero de Charrez Leer más
Erick Uriel Sandoval, sujeto identificado por la PGR como 'La Rana', fue señalado de participar en la desaparición de los 43 normalistas de Ayotzinapa Leer más
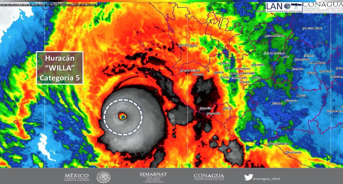
Willa se fortaleció y alcanza vientos sostenidos de 260 km/h y rachas que superan los 315 km/h, y un desplazamiento hacia el norte a 11 km/h Leer más
Los fiscales señalaron que la reducción de cargos permitirá agilizar el caso sin afectar la escencia del caso y el posible castigo al Chapo Leer más











