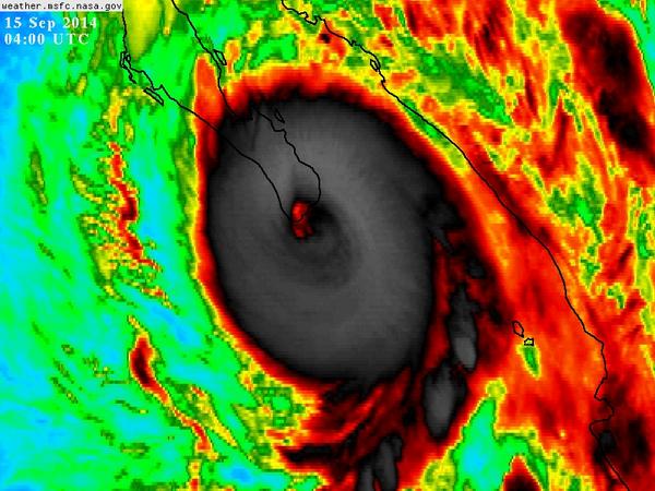
El huracán Odile, de categoría III, provocará potencial de lluvias muy fuertes a intensas durante las próximas tres horas en Baja California Sur, advirtió el Servicio Meteorológico Nacional (SMN). En un comunicado, el organismo informó que en la imagen de satélite se observa nubosidad de gran desarrollo sobre el occidente del territorio nacional, por lo … Continued Leer más
Minuto a Minuto
Internacional León XIV pide paz, reconciliación y educación en la no violencia ante la Inmaculada Concepción
León XIV acudió este 8 de diciembre de 2025 al centro de Roma para venerar la imagen de la Inmaculada Concepción
Nacional ¿Este 12 de diciembre hay clases y se trabaja normal? Esto dicen la SEP y LFT
La SEP y Ley Federal del Trabajo aclaran si este 12 de diciembre, Día de la Virgen de Guadalupe, hay clases y se trabaja de manera normal
Deportes Mundial 2026: FIFA anuncia pausas de hidratación en cada tiempo de todos los juegos
La FIFA confirmó que habrá periodos de hidratación de tres minutos en cada tiempo durante los juegos del Mundial 2026
Economía y Finanzas Noviembre 2025 rompe récord de creación de empleos formales
Con el récord de nuevos empleos formales en noviembre, el IMSS llegó al registro más alto desde que se tiene historia
Entretenimiento Murió Bubba Barsant, reconocido músico de blues y exparticipante de La Voz México
Bubba Barsant saltó a la escena nacional a través del programa La Voz México, donde participó junto al equipo Yuri
Nacional
El coordinador Nacional de Protección Civil, Luis Felipe Puente señaló que a unas horas de que el huracán categoría III, Odile, golpee Baja California Sur, el aeropuerto de La Paz está cerrado y en los cinco distritos de Los Cabos se ha cortado la electricidad. Asimismo están cerradas las carreteras que van al sur y … Continued Leer más
La Comisión Nacional del Agua (Conagua) descartó que el huracán Edouard, categoría I de la escala Saffir-Simpson, afecte el territorio nacional. En su cuenta de Twitter, @conagua_clima, la dependencia indicó que “por su lejanía el #huracán categoría I Edouard no afecta el territorio nacional”. El huracán Edouard, se encuentra en el Océano Atlántico a tres … Continued Leer más
Actualización 05:30 h: La cuenta @metmex comenta que recibió reportes de personas heridas e incendios en Cabo San Lucas. Mientras tanto, 6 mil personas fueron evacuadas en La Paz, informa Eduardo Bautista, director de Protección civil de esa ciudad. Actualización 05:20 h: Así quedó el Club Regina en los Cabos Actualización 05:10 h: El Servicio … Continued Leer más
El Consejo Estatal de Protección Civil, en coordinación con la Secretaría de Educación Pública y Cultura, decretó suspender clases en siete municipios de Sinaloa, en prevención por el huracán Odile. En conferencia de prensa, el secretario general de Gobierno, Gerardo Vargas Landeros, acompañado de los demás integrantes del Consejo Estatal de Protección Civil, dieron a … Continued Leer más
El gobierno del estado de Baja California Sur determinó cerrar la carretera Transpeninsular hacia el Sur del Estado, por la alerta roja decretada ante la proximidad del huracán Odile. El gobernador Marcos Covarrubias dio a conocer que la alerta roja se mantiene porque el huracán Odile trae rachas de viento sostenido de 205 kilómetros por … Continued Leer más
El gobernador del Estado de Baja California Sur, Marcos Covarrubias Villaseñor, alertó a la población a instalarse en zonas seguras, porque el huracán Odile incrementa su fuerza y estiman que impacte cerca de las 23 horas, tiempo del Pacífico (00:00 h tiempo del centro de México). En entrevista radiofónica por Cabo Radio Mil, Covarrubias Villaseñor … Continued Leer más
Actualización 23:40 h: El huracán Odile ya está tocando tierra entre San José del Cabo y Cabo San Lucas El director general de Conagua, David Korenfeld, informó que ante la potencia del huracán Odile, de categoría III, las localidades de San José, San Lucas y La Paz se encuentran en alerta máxima por los vientos, … Continued Leer más
Actualización: 19:15 horas. Esta noche, Odile, huracán categoría III en la escala de Saffir-Simpson, se localizó a 145 km al sureste de Cabo San Lucas, Baja California Sur, tiene movimiento hacia el nor-noroeste a 26 km/hr, vientos máximos sostenidos de 205 km/hr y rachas de hasta 250 km/hr. Por lo anterior, se estableció una zona … Continued Leer más
El paso del huracán Odile por territorio mexicano ha provocado intensas lluvias a lo largo del Pacífico, afectando a los estados de Baja California Sur, Sonora y Jalisco principalmente. En Hermosillo se han reportado vientos de hasta 90 kilómetros por hora con ráfagas de 140 kilómetro por hora, lo cual ha provocado la caída de postes eléctricos y árboles … Continued Leer más
El gobernador del estado, Marcos Covarrubias, informó que mañana habrá suspensión de clases en tres municipios de Baja California Sur para todos los niveles educativos, debido a la llegada del huracán Odile en categoría III. Informó, en la sesión del Consejo Estatal de Protección Civil, a la que acudieron representativos de los tres niveles de … Continued Leer más
La Unidad Estatal de Protección Civil informó que los puertos marítimos de Guaymas y Yávaros, en el sur de Sonora, fueron cerrados a la navegación debido a la presencia del huracán Odile. En su cuenta de Twitter, @uepcsonora, indicó: “Puertos marítimos de Guaymas y Yavaros cerraron a partir de las 10 am la navegación a … Continued Leer más











