El presidente de Estados Unidos compartió una imagen que muestra una secuencia en la que el magnate termina tapando a Obama, como un eclipse Leer más
Minuto a Minuto
Nacional Un muerto por volcadura y explosión de una pipa en Chamula, Chiapas
Una pipa volcó y explotó este sábado 20 de diciembre de 2025 en Chamula, Chiapas, con saldo de un muerto y un herido
Nacional Comerciantes bloquean avenida Juárez de la CDMX
Comerciantes bloquearon en dos puntos la avenida Juárez, una de las principales vialidades del Centro Histórico de CDMX
Nacional Tren Interoceánico choca con tráiler en Pichucalco, Chiapas
Un tráiler intento ganarle el paso al Tren Interoceánico en una comunidad de Pichucalco, Chiapas, este sábado 20 de diciembre
Nacional Quintana Roo rompe récord histórico con 766 operaciones aéreas en un solo día
Dicha cifra confirma la fortaleza de Quintana Roo y la alta demanda de conectividad aérea por parte de visitantes
Nacional Identifican 160 cuerpos del crematorio Plenitud, en Ciudad Juárez
La Fiscalía de Chihuahua informó de los avances en la identificación de cuerpos del crematorio Plenitud de Ciudad Juárez
Últimas Noticias
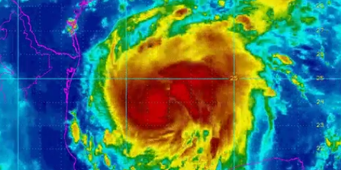
Los datos indican que los vientos máximos sostenidos han aumentado a cerca de 100 kilómetros por hora con ráfagas más altas Leer más
El mandatario no ocultó su malestar hacia el líder republicano en el Senado ante el fracaso de las gestiones para derogar el Obamacare Leer más
El anteproyecto presentado este jueves indica que el presupuesto será 36 por ciento mayor al solicitado durante la última elección federal Leer más
Una mujer saltó de un hotel en Central Park a una altura de alrededor de 35 metros, mientras la policía trataba de convencerla de no hacerlo Leer más
En Milwaukke, un estudiante de 16 años fue detenido tras golpear en la cabeza en más de 10 ocasiones al profesor y frente a sus compañeros Leer más
El Porto, donde militan Diego Reyes, Jesús “Tecatito” Corona, Héctor Herrera y Miguel Layún, se enfrentará al Mónaco, Besiktas y al Leipzig Leer más
Un militar vestido de civil fue ejecutado y calcinado en el municipio de Almoloya de Juárez Leer más
Las probabilidades de ganar el premio gordo son de una en 292.2 millones Leer más
El hombre fue embestido por el tren cuando caminaba por el bulevar Timoteo Lozano, el conductor no detuvo el ferrocarril pese al incidente Leer más
Una mujer heredó parte de su fortuna de 3 millones de dólares a sus dos mascotas Leer más
La embarcación zarpó el lunes por la noche desde Santarem y se dirigía a Vitoria do Xingú, informó el diario Folha de S. Paulo Leer más











