
Esta mañana, la tormenta tenía vientos máximos sostenidos de 280 kilómetros por hora. Su centro estaba a 440 kilómetros al este de Antigua
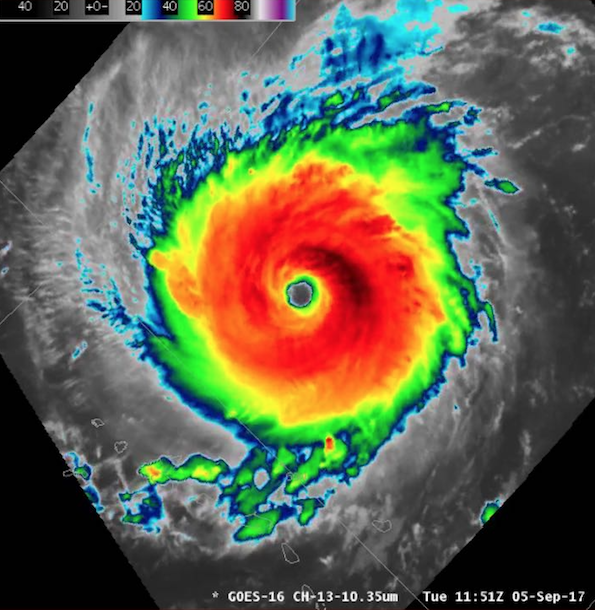
El huracán Irma se convirtió esta mañana en huracán categoría 5 a su paso por el noreste del Caribe hacia el sur de Estados Unidos.
La mañana de este martes, la tormenta tenía vientos máximos sostenidos de 280 kilómetros por hora. Su centro estaba a 440 kilómetros al este de Antigua y se dirigía hacia el oeste a 22 km/h.
Las autoridades advirtieron que el huracán podría depositar hasta 25 centímetros de lluvia, provocar deslizamientos e inundaciones y generar olas de hasta 7 metros de alto.
Irma avanza hacia las islas del Caribe
Las autoridades de las localidades en el noreste del Caribe cancelaron vuelos el martes, cerraron escuelas y pidieron a la gente que se mantenga a cubierto mientras el huracán Irma se acerca a la región convertido en un potente meteoro de categoría 5.
Puerto Rico, las Islas Vírgenes de Estados Unidos y el estado de Florida declararon el estado de emergencia. Mientras, los residentes en varias islas del Caribe protegieron sus casas con tablones y realizaron compras de último momento, formando largas filas en el exterior de supermercados y gasolineras.
“Esto será algo sin precedentes”, dijo en conferencia de prensa la mañana del martes el gobernador de Puerto Rico, Ricardo Rosselló. Anunció que solicitará al presidente Donald Trump que declare estado de emergencia a la isla a fin de contar con los recursos para enfrentar eventuales desastres.
“Esta no es la ocasión de salir e intentar divertirse con un huracán. No es el momento de subirse a una tabla de surf”, advirtió el gobernador de las Islas Vírgenes de Estados Unidos, Kenneth Mapp.

Está previsto que el vórtice del meteoro pase cerca o sobre el norte de las islas de Barlovento a última hora del martes y temprano el miércoles, indicó el Centro Nacional de Huracanes.
Se exhortó a residentes de Estados Unidos a monitorear el progreso de la tormenta en caso de que vire al norte rumbo a Florida, Georgia y las Carolinas.
Ante el paso del fenómeno meteorológico se emitieron alertas de huracán para Antigua y Barbuda, Antigua, San Cristóbal y Nieves, Monserrat, las islas holandesas de Saba, San Eustaquio, la franco-holandesa de San Martín, San Bartolomé, las islas Vírgenes británicas y estadounidenses y Puerto Rico.
La aerolínea American Airlines anunció el martes que adicionó varios vuelos desde de San Martín y San Cristóbal y Nieves hacia Miami a fin de ayudar al flujo de pasajeros que deseen salir de esa islas.
En República Dominicana, donde se espera que el huracán afecte gran parte del país el jueves, fueron suspendidos los vuelos a la isla de San Martín a partir del miércoles.
“Este huracán tiene el potencial de convertirse en un evento mayor para la costa este. También tiene el potencial de tensar los recursos de la Agencia Federal para el Manejo de Desastres y de otras dependencias gubernamentales al ocurrir poco después de Harvey”, dijo en un comunicado Evan Myers, jefe de operaciones de la compañía de información meteorológica AccuWeather.
Redacción