
Roslyn tiene vientos máximos sostenidos de 215 kilómetros por hora con rachas de 240 y se desplaza al noroeste a 13 kilómetros por hora
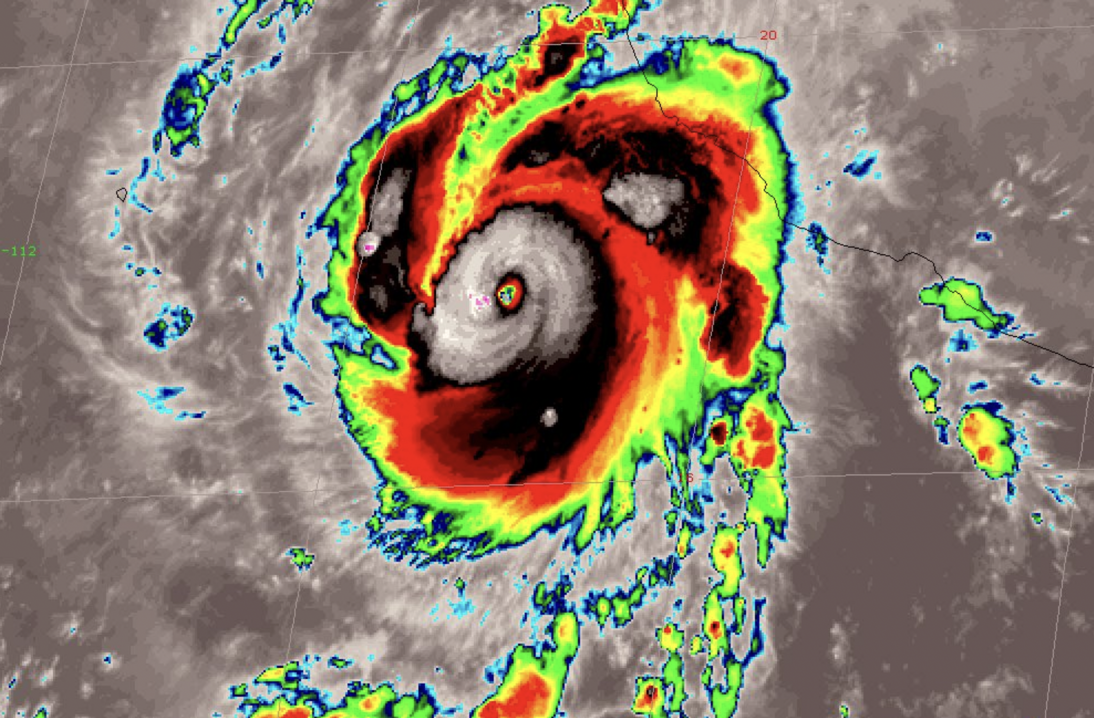
El huracán Roslyn se intensificó a categoría 4 en la escala Saffir Simpson durante este sábado confirmó el Servicio Meteorológico Nacional (SMN).
Roslyn se localizó aproximadamente a 250 kilómetros al suroeste de Manzanillo, Colima, y a 320 kilómetros al sur-suroeste de Cabo Corrientes, Jalisco.
Actualmente, Roslyn tiene vientos máximos sostenidos de 215 kilómetros por hora con rachas de 240 y se desplaza al noroeste a 13 kilómetros por hora.
Su ingreso a tierra sería como categoría 3 en las inmediaciones de Cabo Corrientes, Jalisco, o las costas de Nayarit y, de acuerdo con el Centro Nacional de Huracanes, el impacto sería este domingo.
Las bandas nubosas del huracán ocasionarán lluvias torrenciales en Jalisco y Nayarit, intensas en Colima y Michoacán, viento con rachas de 120 a 150 kilómetros por hora y oleaje de 4 a 6 metros de altura en la costa de Jalisco, así como rachas de 70 a 90 kilómetros por hora con olas de 2 a 4 m en costas de Colima, Michoacán y Nayarit.
Debido al desplazamiento de Roslyn, se estableció zona de prevención por efectos de huracán desde Playa Pérula, Jalisco, hasta El Roblito, Nayarit, incluidas las islas Marías; zona de vigilancia por efectos de huracán desde el norte de El Roblito, Nayarit, hasta Mazatlán, Sinaloa, y zona de prevención por efectos de tormenta tropical desde el sur de Playa Pérula, Jalisco, hasta Manzanillo, Colima, y desde El Roblito, Nayarit, hasta Mazatlán, Sinaloa.
Con información de López-Dóriga Digital