
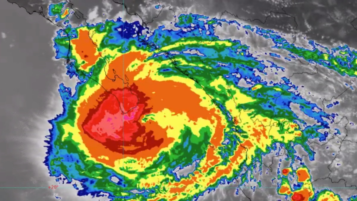
La Comisión Nacional del Agua informó que Olaf tocó tierra la noche de este jueves en Los Cabos, Baja California Sur
El huracán Olaf tocó tierra la noche de este jueves en Los Cabos, Baja California Sur, confirmó la Comisión Nacional del Agua (Conagua).
#AvisoMeteorológico #Olaf tocó tierra esta noche, como #Huracán categoría 2 en las inmediaciones de San José del Cabo, #BajaCaliforniaSur. Más información en https://t.co/ziBGjZ7sA2 pic.twitter.com/vAMPnIPxJY
— CONAGUA Clima (@conagua_clima) September 10, 2021
La Comisión Nacional del Agua (Conagua) informó que Olaf tocó tierra como huracán categoría 2 con vientos de 155 km/h y rachas de 195 km/h. Se localiza en San José del Cabo, a 35 kilómetros de Cabo San Lucas.
AVISO de las 10:00 el NHC indica que el ojo de #Olaf ha entrado en tierra con vientos de 155km/h en categoría 2 rachas de 195km/h se localiza en SnJosedelCabo a 35km de CaboSnLucas ⚠️????????⛈ pic.twitter.com/LhgqOof2yc
— IngGeofisico ???? (@ChaacTlaloc) September 10, 2021
El ingeniero Alberto Hernández Unzón, jefe de Meteorología de Grupo Fórmula, advirtió que las lluvias más importantes se presentarán durante la noche de este jueves y la madrugada del viernes.
Gracias por sus reportes en LosCabos vientos severos arriba de los 155km/h video cortesía @GeminaLegioXIII 22:35h pic.twitter.com/ogXOUGQJfM
— IngGeofisico ???? (@ChaacTlaloc) September 10, 2021
En las próximas horas terminará de entrar el ojo del huracán, pero a lo largo de la noche y madrugada entrará la parte de la muralla trasera que es mucho más severa. Ahí sí podemos esperar la marejada, la marea tormenta y las lluvias más importantes serán en el transcurso de esta noche. Los daños serán realmente significativos por este golpe de este huracán”, expuso en entrevista con Azucena Uresti para grupo Fórmula.
El SMN mantiene zona de prevención por efectos de huracán desde Los Barriles hasta Santa Fe, así como zona de prevención por efectos de tormenta tropical desde Santa Fe hasta Cabo San Lázaro, y desde Los Barriles hasta San Evaristo, todas regiones de Baja California Sur.
AVISO Urgente momento de impacto en tierra con base en el Radar 9:21pm CDT se detecta que el ojo del huracán #OLAF esta golpeando directamente en #SanJosedelCabo BCS la muralla en CaboPulmo LasVeredas y muy cerca de alcanzar CaboSnLucas pic.twitter.com/EDgd1qKqoy
— IngGeofisico ???? (@ChaacTlaloc) September 10, 2021
Extremar precauciones
Por ello, el organismo pidió extremar precauciones a la población en general en las zonas de los estados mencionados por lluvias, viento y oleaje (incluyendo la navegación marítima) y atender las recomendaciones emitidas por las autoridades de Protección Civil, en cada estado.
Este jueves, el Gobierno mexicano alertó que hay más de medio millón de personas en riesgo en el noroeste del país por el potencial impacto del ciclón.
Por las lluvias que generará, la Coordinación Nacional de Protección Civil estima 490 mil personas en riesgo alto y otras 87 mil en riesgo moderado, además de más de 200 mil viviendas en peligro, casi en su totalidad en la península de Baja California.
Temporada ciclónica
Hasta el momento, en el océano Pacífico se han formado los ciclones Andrés, Blanca, Carlos, Dolores, Enrique, Felicia, Guillermo, Hilda, Ignacio, Jimena, Kevin, Linda, Marty, Nora y Olaf.
Dolores tocó tierra el pasado 19 de junio e impactó especialmente en los estados de Colima y Michoacán y dejó tres muertos por tormentas eléctricas.
Mientras que a mediados de agosto las torrenciales lluvias generadas por el huracán Grace, formado en el Atlántico y que tocó tierra en el Golfo de México, provocaron la muerte de al menos once personas, ocho en el oriental estado de Veracruz y tres en el céntrico estado de Puebla, además de severas inundaciones y daños.
El ciclón había impactado días antes en la península de Yucatán, donde también dejó inundaciones y fallas eléctricas, aunque sin víctimas mortales.
Mientras que Nora, que tocó tierra el 28 de agosto, dejó un menor muerto en el estado de Jalisco y al menos siete desaparecidos, seis de ellos pescadores del estado de Guerrero.
Con información de López-Dóriga Digital y EFE