
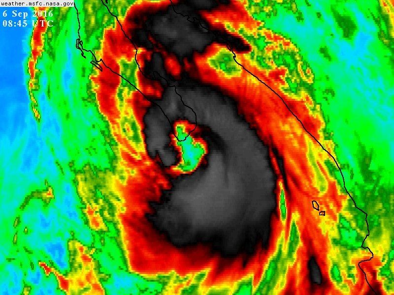
El Centro Nacional de Huracanes de Estados Unidos informó que el huracán Newton, categoría uno, tocó tierra en la madrugada en BCS
El Centro Nacional de Huracanes (CNH) de Estados Unidos informó que el huracán ‘Newton’ de categoría uno, tocó tierra la madrugada de este martes, en Cabo San Lucas, Baja California Sur.


En su página de internet, el CNH reportó que el fenómeno sostiene vientos de 150 kilómetros por hora.
Protección Civil habilitó alrededor de 12 albergues para resguardar la integridad de la población.
En Baja California Sur y en Sinaloa las clases, en todos los niveles educativos, fueron suspendidas como medida de prevención ante los embates del fenómeno meteorológico.
1:40 am. Just starting to crank. #NEWTON pic.twitter.com/liKkAR2Zaj
— Josh Morgerman (@iCyclone) 6 de septiembre de 2016
“3:15 am. Calm. In the eye of #Hurricane #NEWTON in Downtown #CaboSanLucas“. Vía: @iCyclone pic.twitter.com/ihPkUS9bj8
— Webcams de México (@webcamsdemexico) 6 de septiembre de 2016
RT @iCyclone Almost midnight. Picking up. #Hurricane #NEWTON #CaboSanLucas pic.twitter.com/xkh0mV5Qk2
— Webcams de México (@webcamsdemexico) 6 de septiembre de 2016
Recomendaciones
Por su parte, la Comisión Nacional del Agua (Conagua), en su más reciente comunicado, informó que durante las próximas horas, de acuerdo con los pronósticos, Newton provocará tormentas torrenciales, de 150 a 250 milímetros (mm), en regiones de Jalisco, Colima y Michoacán, tormentas intensas (de 75 a 150 mm) en zonas de Sinaloa, Nayarit y Durango, además de tormentas locales muy fuertes (de 50 a 75 mm) en Baja California Sur, Zacatecas y Guerrero.
Debido a que las lluvias persistirán durante las próximas horas, se exhorta a la población a extremar precauciones y mantenerse atenta a los avisos de Protección Civil y de las autoridades estatales y municipales, ya que las precipitaciones pueden reblandecer el suelo en algunos sitios y ocasionar deslaves, deslizamientos de laderas, desbordamiento de ríos y arroyos o afectaciones en caminos y tramos carreteros, así como inundaciones en zonas bajas y saturación de drenajes en sitios urbanos.

Asimismo, se prevé oleaje de 3.5 a 4.5 metros (m) de altura en costas de Colima y Jalisco, que podría alcanzar 5 m en zonas marítimas; de 2.5 a 3.5 m en costas de Michoacán, y de entre 3.5 a 4.5 m en sus zonas marítimas; de 1.5 a 2.5 m en las costas de Guerrero, y del occidente de Baja California Sur, con probabilidad de alcanzar 3.0 m en sus zonas marítimas, así como de 1.0 a 2.0 m en las costas oriente y sur de Baja California Sur, con posibilidad de que llegue a 3.0 m en las zonas marítimas, por lo que la navegación marítima en las inmediaciones del huracán, deberá extremar precauciones por la presencia de fuertes ráfagas de viento y marea de tormenta.
En tanto, se estableció zona de prevención por efectos de huracán en el sur de la Península de Baja California, desde Cabo San Lázaro hasta Mulegé, que incluye a Cabo San Lucas, todas las poblaciones pertenecientes a Baja California Sur, y de zona de vigilancia por efectos de huracán, desde Bahía de Kino, hasta Puerto Libertad, ambas localidades de Sonora.
También se determinó zona de prevención por tormenta tropical desde Cabo San Lázaro hasta Punta Abreojos y norte de Mulegé, Baja California Sur, hasta Bahía San Juan Bautista, en Baja California. En la misma circunstancia se encuentra Mazatlán, Sinaloa, hacia el norte, hasta Guaymas, Sonora, y de Bahía de Kino a Puerto Libertad, en Sonora.
La Conagua y el SMN exhortan a la población a mantenerse informada sobre las condiciones meteorológicas mediante la cuenta de twitter @conagua_clima y en las páginas de internet http://smn.conagua.gob.mx y www.gob.mx/conagua
Con información de Noticieros Televisa