
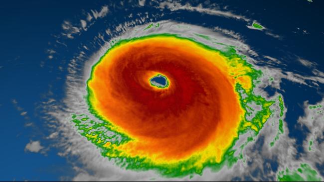
The Weather Channel informó que Noru alcanzó la categoría 5 en el Hemisferio Norte. Es la tormenta más fuerte en lo que va del año
Un poderoso tifón en el océano Pacífico que se convirtió en el ciclón más fuerte del Hemisferio Norte en lo que va del año, ha perdido un poco de su fuerza pero de todas formas representa una amenaza para Japón para el fin de semana.
El tifón Noru tenía vientos sostenidos de 204 km/h el martes con ráfagas de hasta 250 km/h, de acuerdo con el Centro Conjunto de Alerta de Tifones del ejército de Estados Unidos.
Esos números lo hacen posicionarse como un ciclón de categoría 4. The Weather Channel informó que Noru alcanzó la categoría 5 en su momento de mayor apogeo en el Hemisferio Norte, convirtiéndose en la tormenta más fuerte en lo que va del año.
https://youtu.be/cjSMjUSkk_k
También reportó que Noru se desplazará lentamente hacia el noroeste y podría tocar tierra en Japón el fin de semana, aunque todavía es muy pronto para saber con certeza lo que podría ocurrir.
Redacción