
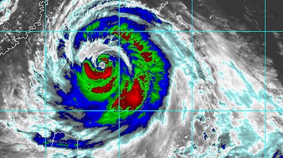
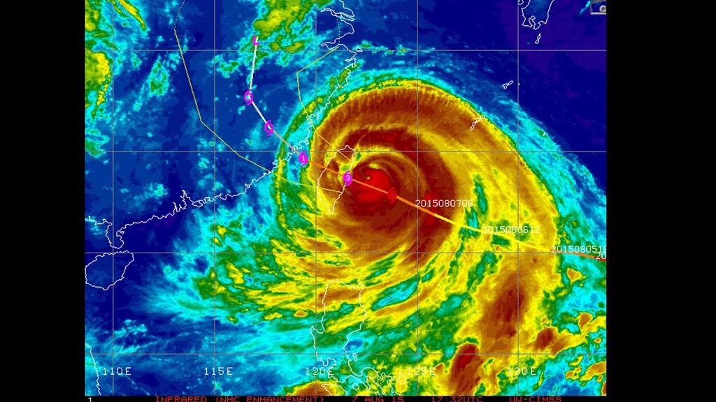
El súper tifón Soudelor se encuentra cruzando la isla de Taiwán por la mitad, para posteriormente golpear la costa sureste de China
El Sistema de Coordinación de Alertas de Desastres Globales, GDACS por sus siglas en inglés, afirmó que el súper tifón Soudelor podrá golpear con gran fuerza en las costas de países asiáticos como China y Taiwán.
Actualmente el súper tifón Soudelor se encuentra en categoría tres, fuerza con la que impacta en la isla de Taiwán, y se espera que no se degrade al momento de llegar a las costas del sureste chino.
A pesar de que es categoría tres, el GDACS dijo que tendrá un alto impacto debido a la concentración de gente en la zona, su alta vulnerabilidad, y los vientos máximos sostenidos.



El súper tifón se encuentra actualmente en la isla de Taiwán, atravesándola por la mitad, mientras que en China está provocando rachas de vientos superiores a los 200 kilómetros por hora, lluvias torrenciales y marea de tormenta de dos metros.
De acuerdo con la Agencia Espacial de Estados Unidos, NASA, el ojo del súper tifón Soudelor se ha ampliado 8 kilómetros desde el martes pasado, 4 de agosto.
Redacción