
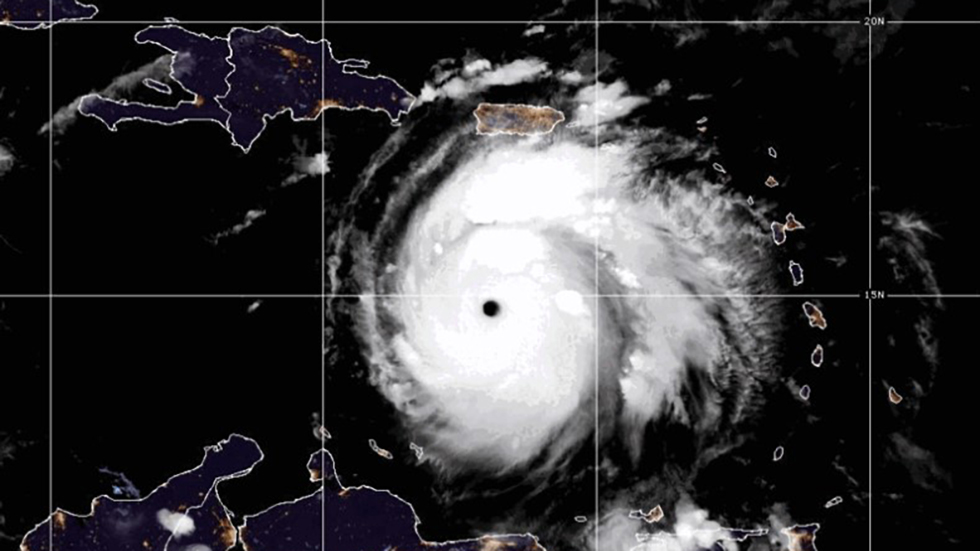
‘Beryl’ subió de depresión tropical a huracán categoría 3 en menos de 48 horas, y en seguida alcanzó la 4, algo sin precedentes para un mes de junio
Desde que se tiene registro, nunca se había formado a estas alturas de año un huracán de máxima intensidad en el Atlántico, por lo que ‘Beryl‘, que ha alcanzado esta fuerza mientras se aproxima a Jamaica, sienta un “alarmante precedente“, advirtió la Organización Meteorológica Mundial (OMM).
Según la agencia meteorológica de la ONU, la llegada de un huracán con esta fuerza dos semanas antes de lo habitual podría ser el anticipo de “una estación muy activa y con riesgos para toda la cuenca atlántica, lo que una vez más muestra la necesidad de sistemas de alerta temprana”.
‘Beryl’ alcanzó fuerza 5 (máxima en la escala Saffir-Simpson, que mide a los huracanes por la fuerza de sus vientos) y actualmente arrastra vendavales de hasta 165 kilómetros por hora, según mediciones del centro de seguimiento de estos fenómenos de Estados Unidos, el National Hurricane Center (NHC).
Antes de ello ya causó un gran impacto en Granada y San Vicente y Granadinas, “pequeñas islas con poca experiencia a la hora de lidiar con huracanes de categoría 4”, indicó la OMM.
Según el NHC, se espera que a mediados de semana ‘Beryl’ pierda gradualmente intensidad, aunque aún mantendrá vientos huracanados.
Los informes del Panel Intergubernamental de Expertos en Cambio Climático advierten que la frecuencia de ciclones tropicales intensos, como la de otros fenómenos climatológicos extremos, irá en aumento en paralelo al calentamiento global.
‘Beryl’ subió de depresión tropical a huracán de categoría 3 en menos de 48 horas, y alcanzó la 4 en ese tiempo aproximado, algo sin precedentes para la OMM en un mes de junio aunque “en línea con las tendencias recientes de rápida intensificación” de estos fenómenos.
La agencia recuerda, por ejemplo, que en octubre de 2023 el huracán Otis subió a la categoría 5 en una sola noche, golpeando con fuerza la turística localidad mexicana de Acapulco.
Con información de EFE