
“La lucha contra el calentamiento global es un compromiso indispensable para hoy y mañana”, subrayó el mandatario francés
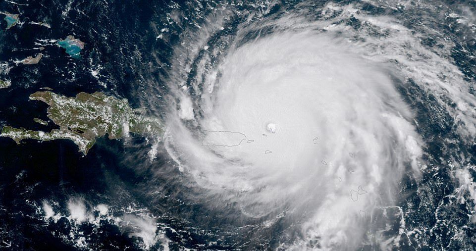
El presidente de Francia, Emmanuel Macron, llamó hoy a luchar contra el cambio climático para prevenir catástrofes como la generada por el huracán Irma, que afectó gravemente a las Antillas francesas, entre otros territorios.
“Es importante la lucha contra el cambio climático para prevenir este tipo de desastres”, declaró Macron a la prensa durante un viaje a Atenas, Grecia.

El presidente de Francia, en cuya capital se alcanzó el mayor acuerdo mundial de lucha contra el cambio climático hace dos años, destacó que “el calentamiento climático nos toca a todos y a todas”.
“La lucha contra el calentamiento global es un compromiso indispensable para hoy y mañana”, subrayó sobre el compromiso internacional puesto en entredicho por el presidente de Estados Unidos, Donald Trump.

Macron tiene previsto viajar “desde que sea posible” a varios territorios de las Antillas francesas afectados por el paso del huracán Irma esta semana.
El balance del paso del ciclón por las Antillas francesa aumentó a ocho muertos y 23 heridos, reportó el Ministerio del Interior (Gobernación).
De acuerdo con las fuentes, el huracán, que alcanzó velocidades de 300 kilómetros por hora, arrasó la isla francesa de San Martín, donde habría quedado destruida el 95 por ciento de la infraestructura.
Redacción