
María podría golpear Puerto Rico el miércoles como huracán de categoría 3 o 4
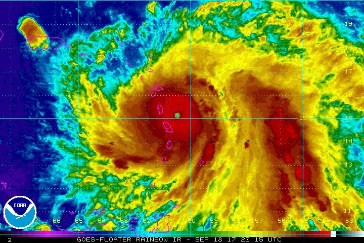
El huracán María se fortaleció rápidamente a categoría 4 este lunes y avanza con gran fuerza directo hacia las islas del oriente del Caribe, mientras los pronósticos prevén que siga fortaleciéndose en las siguientes horas.
La tormenta tiene una trayectoria que la podría acercar a muchas de las islas destruidas por el huracán Irma y luego ir hacia Puerto Rico, República Dominicana y Haití. María podría golpear Puerto Rico el miércoles como huracán de categoría 3 o 4, dijo Ernesto Morales, del Servicio Meteorológico Nacional de Estados Unidos en San Juan.

“Esta tormenta promete ser catastrófica para nuestra isla”, dijo. Agregó que todo Puerto Rico experimentará vientos de fuerza de huracanes.
Puerto Rico anunció el lunes el racionamiento de suministros básicos que incluyen agua, comida, alimentos para bebé, baterías y otros artículos.
Pasado el mediodía, el Centro Nacional de Huracanes de Estados Unidos informó que María tenía vientos máximos sostenidos de 200 kilómetros por hora. Su vórtice estaba a unos 70 km al este-noreste de Martinica e iba en dirección oeste-noroeste a 17 km por hora.
Se emitieron alertas de huracán para las Islas Vírgenes de Estados Unidos, las Islas Vírgenes Británicas, Guadalupe, Dominica, St. Kitts, Nevis, Montserrat, Martinica y Santa Lucía. Se emitieron alertas de tormenta tropical para Antigua y Barbuda, Saba, San Eustaquio, San Martín y Anguilla.

El centro de huracanes indicó que las condiciones de huracán comenzarían a afectar partes de las Islas de Barlovento el lunes por la noche, con un oleaje de entre 1.2 y 1.8 metros cerca del centro de la tormenta. Se prevé que deposite entre 15 y 30 centímetros de lluvia en las islas, con más carga en áreas alejadas.
El gobierno de Dominica ordenó el cierre de escuelas y oficinas y recomendó que las empresas privadas hagan lo mismo. Se espera que el ojo del huracán toque tierra en la isla o pase muy cerca. Se emitió una alerta en la que se pide a la población que vive cerca de ríos, en zonas bajas o vulnerables moverse a áreas más seguras y recomienda a los pescadores mantenerse en puerto. También preparaba refugios ante posibles evacuaciones.

“No debemos subestimar el poder de esta tormenta”, dijo el primer ministro de Dominica, Roosevelt Skerrit. “Oremos para que todos quedemos a salvo”.
En la vecina Guadalupe, las autoridades pronosticaron fuertes lluvias e inundaciones a partir de la tarde del lunes, y advirtieron que muchas comunidades quedarán sumergidas antes que culmine la noche.
El miércoles María podría golpear directamente Puerto Rico, que se libró en gran medida del paso de Irma aunque quedó en gran parte sin luz. Unas 700 mil personas han quedado sin electricidad, y el gobernador Ricardo Rosselló advirtió el lunes que podrían ocurrir nuevos apagones.
Los expertos vaticinaron que la tormenta arrojaría hasta 46 centímetros de lluvia en Puerto Rico y atacaría a la isla con fuertes vientos por entre 12 y 24 horas.
Las autoridades de Puerto Rico dijeron que la Agencia Federal de Manejo de Emergencias estaba lista para traer agua potable y para ayudar a restablecer el servicio eléctrico.
Rosselló dijo que se han preparado cerca de 450 refugios con capacidad para casi 68 mil personas, o hasta 125 mil en caso de emergencia. Indicó que las clases fueron suspendidas para el lunes y que los empleados del gobierno trabajarán medio día.
En República Dominicana, las autoridades exhortaron a la población a evacuar zonas vulnerables a inundaciones, y pidió a los pescadores quedarse en puerto.
Más al norte, el huracán José continuaba girando por la costa oriental estadounidense, causando peligrosas marejadas. Al parecer no entrará a tierra pero se emitieron alertas por la región costera entre el estado de Delaware y el poblado de Cape Cod en Massachusetts.
José estaba centrado a unos 425 kilómetros al este-sudeste de Cape Hatteras (Carolina del Norte) y se movía hacia el norte a 15 km por hora. Sus vientos máximos sostenidos alcanzaban los 120 km por hora.
Hubo algunas inundaciones en las islas frente a Carolina del Norte debido a José, y cinco personas en un barco cayeron al agua en Rhode Island debido a las aguas turbulentas. Los cuerpos de rescate tuvieron que soportar fuertes vientos y mareas para sacar a los heridos, colocarlos en camillas y traerlos a tierra. Las cinco personas fueron llevadas a hospitales.

En el Pacífico, la amenaza de la tormenta tropical Norma a la zona mexicana de Los Cabos, en la punta de la península de Baja California, parecía disiparse pues los expertos vaticinan que el vórtice de la tormenta permanecerá mar adentro.
Norma tenía vientos de unos 85 km por hora y tenía su centro a unos 280 kilómetros al sudoeste de Cabo San Lucas. El gobierno del estado de Baja California Sur suspendió las clases y abrió albergues de emergencia.
Entretanto la tormenta tropical Lee se debilitó a depresión tropical, bien alejada en el Atlántico, mientras el huracán Otis se debilitaba en el Pacífico. Ninguno presentaba amenaza alguna para los habitantes en tierra.
Redacción