Minuto a Minuto

Nacional Morena convoca a su VIII Congreso Nacional Extraordinario; renovará dirigencia
El evento se realizará el domingo 3 de mayo en el World Trade Center de la Ciudad de México
Economía y Finanzas Hacienda refinancia más de 101 mil mdp de deuda
La operación, integrada por Cetes, Bonos M y Udibonos, cambió títulos de corto y mediano plazo por papeles con vencimientos entre 2028 y 2046
Nacional Inauguran tren que conectará Buenavista con el AIFA
El proyecto permitirá la conexión con el Tren Suburbano Buenavista-Cuautitlán, así como con la Línea B del Metro, líneas del Metrobús y sistemas de transporte en el Estado de México
Nacional Quinta contingencia ambiental suma más de 24 horas en el Valle de México
Esta es la quinta contingencia ambiental activada por ozono en el Valle de México y la sexta en lo que va de 2026 y suma ya más de 24 horas desde su activación este sábado 25 de abril a las 14:00 h.
Economía y Finanzas Festejo del Día del Niño dejará beneficios por 37 mil 500 mdp en México
La Concanaco-Servytur estimó que esta fecha beneficiará a 3.6 millones de unidades económicas del sector comercio, servicios y turismo
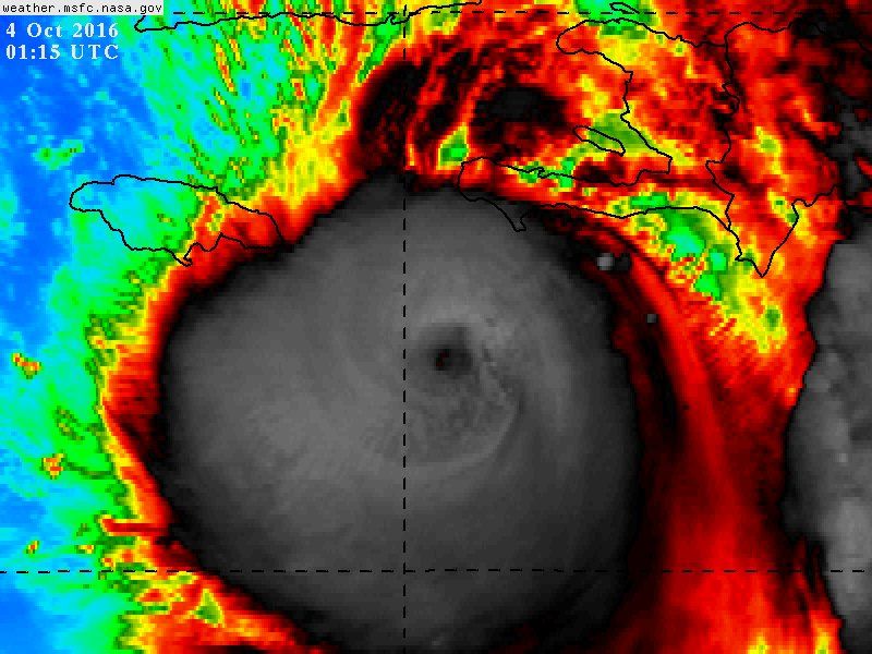
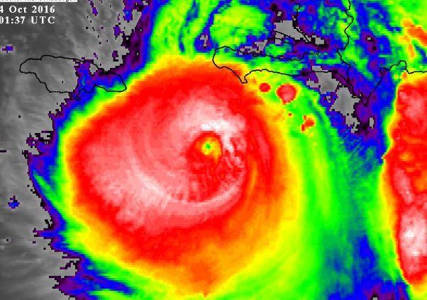
El huracán Matthew pasa por Haití
Foto de Twitter

La lluvia y el viento generados por Matthew azotan Haití la noche del lunes y madrugada del martes. Sus consecuencias podrían ser devastadoras para esta nación.

Matthew tenía la tarde del lunes vientos sostenidos máximos de 220 km/h, un incremento de los 210 km/h que registraba anteriormente en el día. El meteoro se desplaza con dirección norte, y se pronostica que el vórtice pase cerca o sobre el extremo suroccidental de Haití antes de dirigirse hacia el oriente de Cuba, informó el Centro Nacional de Huracanes de Estados Unidos.

Las autoridades locales se mantienen en alerta por algunas áreas propensas a inundaciones. En Tabarre, un suburbio de Puerto Príncipe, los funcionarios exhortaron a los habitantes de un barrio pobre que viven junto a un río lodoso a resguardarse en una escuela local donde se colocaron camas. Pero muchos se negaron por temor a que les roben lo poco que tienen.

Las ciudades de Anse-d’Hainault y Tiburon se encuentran parcialmente inundadas. Autoridades informan que 6 mil 416 personas fueron desplazadas a refugios temporales en el sur y oeste del país.

El huracán Matthew pasa por Haití - matthew-haití-1
Foto de Twitter

“¡Si perdemos nuestras cosas no las vamos a recuperar!”, dijo Toussaint Laine mientras la policía y funcionarios de la alcaldía exhortaban al hombre desempleado y a su familia a que se fueran de allí.

La agencia de protección civil de Haití reportó la muerte de un pescador en aguas agitadas por la tormenta. Marie Alta Jean-Baptiste, directora de dicho organismo, había dicho el lunes temprano que el cadáver de otro pescador fue recuperado frente al poblado sureño de Aquin, pero posteriormente indicó que el reporte estaba equivocado y él seguía desaparecido.

La muerte reportada en Haití elevó el total por la tormenta a cuando menos tres. Un hombre murió el viernes en Colombia, y un joven de 16 años perdió la vida en San Vicente y las Granadinas el 28 de septiembre cuando el meteoro pasó por el Caribe oriental.

En Haití, las autoridades iban casa por casa en las ciudades de Les Cayes y Jeremie, en la costa sur, para asegurarse de que las personas estén al tanto de que se acerca una tormenta. Al menos mil 200 habitantes fueron trasladados a refugios en escuelas e iglesias.

El huracán Matthew pasa por Haití - matthew-haití-3
Foto de Twitter

“Seguimos movilizando equipos en el sur para alejar a las personas de las áreas peligrosas”, dijo Jean-Baptiste.

La noche del lunes el vórtice del huracán estaba a 360 kilómetros al suroeste de Puerto Príncipe, la capital de Haití. Se desplazaba con dirección norte a 11 km/h.

“Estamos viendo un peligroso huracán que se acerca al oeste de Haití y el este de Cuba”, dijo Richard Pasch, un especialista de huracanes del Centro Nacional de Huracanes de Estados Unidos. “Esperamos que la gente que pueda sufrir inundaciones y deslaves salga de allí y se reubique debido a que es allí donde hemos visto pérdida de vidas en el pasado”.

En Jamaica muchos siguieron ese consejo antes de que el gobierno de la isla cancelara una advertencia de huracán y la reemplazara con una de tormenta tropical a medida que Matthew se acercaba a Haití. Más de 700 personas llenaron los albergues en el municipio oriental de St. Thomas, y el Ejército de Salvación indicó que había unas 200 personas en sus albergues en Kingston al tiempo que solicitó donaciones de colchones.

Muchas personas eligieron enfrentar la tormenta en su casa. Desmond McKenzie, ministro de gobierno local, dijo que todos los habitantes del área de Port Royal, excepto cuatro, se negaron a abordar autobuses para evacuar.

El huracán Matthew pasa por Haití - Ct5GRJKVUAEVMr7
Matthew desde el espacio. Foto de @1undertaker18

En República Dominicana, que comparte la isla La Española con Haití, cerca de 8 mil 200 personas que viven en zonas de alto riesgo fueron evacuadas de forma preventiva, informó el Centro de Operaciones de Emergencias.

Juan Manuel Méndez, director del Centro, explicó que 24 de las 32 provincias permanecen en alerta ante eventuales inundaciones y deslizamientos de tierra.

Todos los vuelos entre Santo Domingo y Puerto Príncipe del lunes al miércoles fueron cancelados.

Matthew, uno de los huracanes más poderosos de la historia reciente, alcanzó por poco tiempo la categoría 5, el primero en llegar a la máxima clasificación en la región desde Félix en 2007. El centro de huracanes dijo que la tormenta parecía dirigirse hacia el este de Florida a través de las Bahamas, pero que aún no se podía pronosticar con precisión si rozaría la costa atlántica de Estados Unidos.

Redacción