
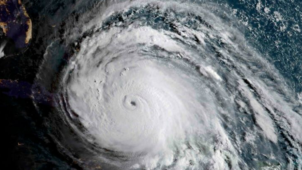
El año pasado fue la temporada más activa desde 2005, con un total de 17 tormentas, 10 de ellas huracanes y seis mayores
La temporada de huracanes de 2018 en el Atlántico, que comienza oficialmente el 1 de junio, se prevé activa de intensidad promedio, según el pronóstico anual de la Organización Nacional Oceánica y Atmosférica (NOAA) de Estados Unidos.

Los científicos de la NOAA proyectan que habrá entre 10 y 16 tormentas con nombre, de las cuales entre cinco y nueve se convertirán en huracanes.
Mientras que entre uno y cuatro de estos fenómenos alcanzará la categoría tres considerado “mayor” en la escala Saffir Simpson de un máximo de cinco niveles.
Uno de los factores que de alguna manera reduce la intensidad de la próxima temporada de huracanes es la probable formación de un fenómeno de El Niño débil, una fase de un ciclo climático llamado Oscilación del Sur.
Durante una fase de El Niño, las temperaturas del agua en el Océano Pacífico tropical oriental son ligeramente más cálidas que la media, lo que afecta la circulación del viento en el Atlántico y puede suprimir la formación de huracanes, según el científico atmosférico y representante de NOAA, Neil Jacobs.
Los funcionarios de NOAA también predijeron una probabilidad del 80 por ciento de una temporada de huracanes cercana o superior a la normal en las regiones del Pacífico oriental y central.
El Pacífico oriental probablemente verá la formación de hasta 20 tormentas con nombre, de las cuales de tres a siete podrían fortalecerse para convertirse en huracanes “mayores”, según los funcionarios de NOAA.
La predicción de NOAA promete, sin embargo, un respiro este año en comparación con 2017 que fue una “temporada furiosa”, según los expertos.
El año pasado fue la temporada más activa desde 2005, con un total de 17 tormentas, 10 de ellas huracanes y seis mayores.

Tres de ellos que tocaron tierra fueron excepcionalmente poderosos: Harvey devastó Texas; Irma arrasó el Caribe y el sureste de Estados Unidos y María acabó con islas del Caribe y Puerto Rico.