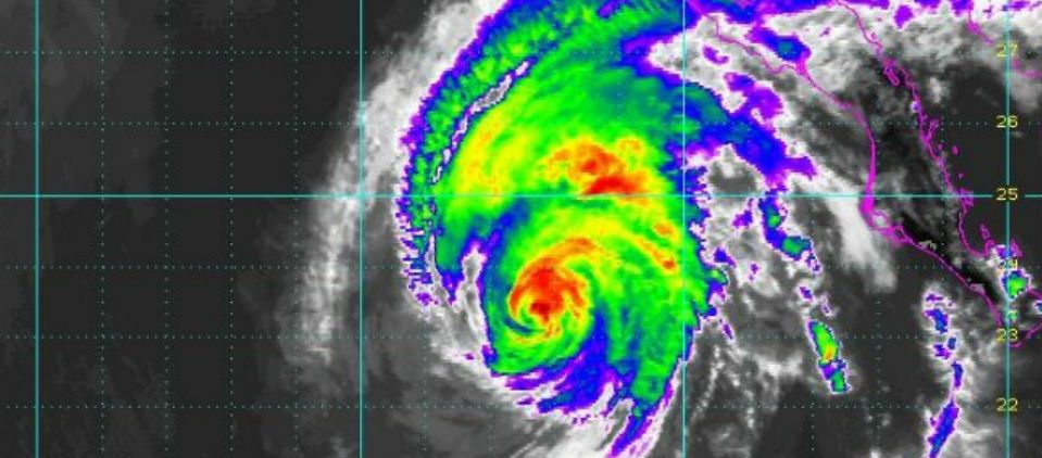
El huracán Simon volvió a descender a la categoría I en la escala Saffir-Simpson y se aleja de las costas de Baja California Sur, indicó esta tarde la CONAGUA. A pesar de esto aún genera nubosidad y lluvias en Baja California Sur, Sonora, Sinaloa, Nayarit y el sur del Golfo de California. El huracán se … Continued Leer más
Minuto a Minuto
Internacional Inundación de agua sucia daña más de 400 obras en el Museo del Louvre
El Museo del Louvre está envuelto nuevamente en la polémica por una inundación de agua sucia que dañó más de 400 obras
Nacional Aseguran en Sinaloa 320 kg de metanfetamina ocultos en tractocamión
En el aseguramiento de la metanfetamina autoridades federales detuvieron a dos personas, informó el secretario de Seguridad, Omar García Harfuch
Internacional Netanyahu asegura que la segunda fase del plan de paz es “inminente” y adelanta una tercera etapa
Netanyahu detalló que la segunda fase del plan de paz será difícil porque supondrá el desarme de Hamás y la desmilitarización de Gaza
Internacional “La paz es posible”: papa León XIV exhorta al diálogo interreligioso
El papa León XIV aseguró que la paz es posible y que los cristianos, en diálogo con otras fes y culturas, pueden contribuir a construirla
Deportes Liga MX: Toluca y Tigres de la UANL jugarán la final del Apertura 2025
Toluca y los Tigres de la UANL avanzaron a la final del Apertura 2025 de la Liga MX, que se jugará la próxima semana
Nacional
El Instituto Nacional Electoral (INE) dará este martes el banderazo formal del Proceso Electoral Federal 2014-2015, con el que se renovará la Cámara de Diputados. Asimismo, se llevarán a cabo 18 elecciones locales -nueve para gobernador-, y se elegirán 903 presidencias municipales y 639 diputaciones locales. Previo a ello, el INE inició reuniones con los … Continued Leer más
Como resultado de la campaña emprendida por el PAN, la Contraloría General del Gobierno del Distrito Federal admitió 600 denuncias ciudadanas por el daño patrimonial que ha causado el cierre parcial de la Línea 12 a usuarios de Milpa Alta, Tláhuac e Iztapalapa. Las denuncias en contra de Enrique Horcasitas, ex director del Proyecto Metro, … Continued Leer más
La Secretaría de la Función Pública (SFP) dio a conocer la resolución mediante la cual impone a Jesús Ramírez Stabros, ex coordinador de Vinculación de la Presidencia, una sanción de inhabilitación temporal por tres meses para desempeñar un empleo o cargo público, que concluirá el 1 de enero de 2015. La resolución le fue notificada … Continued Leer más
El presidente de la Cámara de Diputados, Silvano Aureoles, pidió un castigo ejemplar para los responsables de la desaparición de normalistas de Ayotzinapa, así como tener una acción coordinada entre todos los niveles de gobierno para dar con su paradero. Tras reiterar su enérgica condena sobre los desaparecidos de la Escuela Normal Rural “Raúl Isidro … Continued Leer más
Una mujer de 35 a 40 años años de edad, que participaba en el Querétaro Maratón, falleció a consecuencia de un infarto agudo al miocardio con edema en el pulmón, en la sala de urgencias del Hospital General. La corredora, de nombre Araceli Gutiérrez, se desvaneció cuando pasaba por avenida Constituyentes, a la altura del … Continued Leer más
Este domingo por la madrugada una joven fue detenida y llevada al ministerio público luego de agredir a un elemento de la policía mientras le realizaban una prueba de alcoholemia. La agresora, identificada como Atzihualatsi López, de 21 años, se encontraba en el punto del Alcoholímetro de la colonia Narvarte en la delegación Benito Juárez … Continued Leer más
El Consejo de Administración de Grupo Aeroportuario de la Ciudad de México conoció los avances del nuevo Aeropuerto “Benito Juárez” y del mecanismo de financiamiento, el cual incluirá recursos públicos y privados. La Secretaría de Comunicaciones y Transportes (SCT) informó que el Consejo de Administración de Grupo Aeroportuario de la Ciudad de México, entidad pública … Continued Leer más
El Tribunal Superior de Justicia del Distrito Federal (TSJDF), a través de magistrados de la Sexta Sala Penal, estudiaron la toca 10/2014 y confirmaron la pena impuesta a Rafael García García, a quien la PGJDF acusó del secuestró de un habitante de Cuernavaca, Morelos, en marzo de 2012. En un comunicado, la Procuraduría General de … Continued Leer más
La Procuraduría Federal de Protección al Ambiente (PROFEPA) mantiene vigilancia permanente luego del derrame de hidrocarburo en un oleoducto de Petróleos Mexicanos (PEMEX), a causa de una toma clandestina en Altamira, Tamaulipas. La dependencia detalló que personal especializado llevó a cabo una inspección a las instalaciones de PEMEX, para constatar la magnitud de los daños … Continued Leer más
La Secretaría de la Defensa Nacional (SEDENA) ha recolectado, a través de la campaña denominada “Canje de Armas de Fuego”, más de mil 400 armas, 78 mil cartuchos y 145 granadas durante los últimos 22 meses en el estado de Tamaulipas. Mediante la Comandancia de la Octava Zona Militar, dio a conocer que como parte … Continued Leer más
La noche de este sábado, normalistas atacaron a pedradas la casa del gobernador de Guerrero, Ángel Aguirre Rivero, en protesta por la desaparición y ejecución de estudiantes de la Escuela Normal de Ayotzinapa. En el lugar también volcaron un vehículo. A una semana de la desaparición de los normalistas, después de un ataque de policías … Continued Leer más











